StartseiteÜber unsUnsere HundeDer LabradorWurfplanungWürfe A bis MWürfe N bis ZWürfe A1 bis M1LinksHandicapKontaktRückblicke
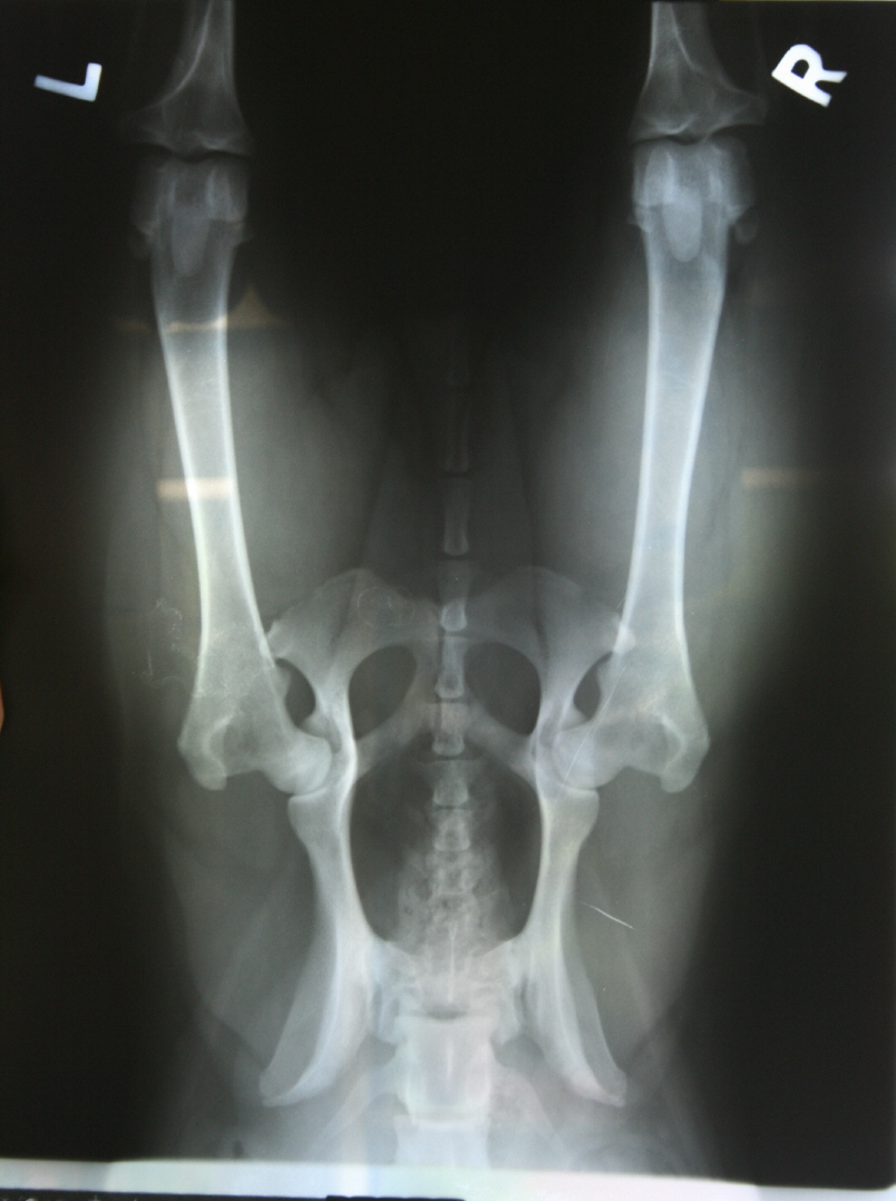
Röntgenaufnahmen Ally

Allys Hüften

HD: A2/A2
Allys Ellbogen gestreckt

ED: 0/0
Allys linker Ellbogen gebeugt Allys rechter Ellbogen gebeugt


Rückblicke


Druckbare Version

Impressum